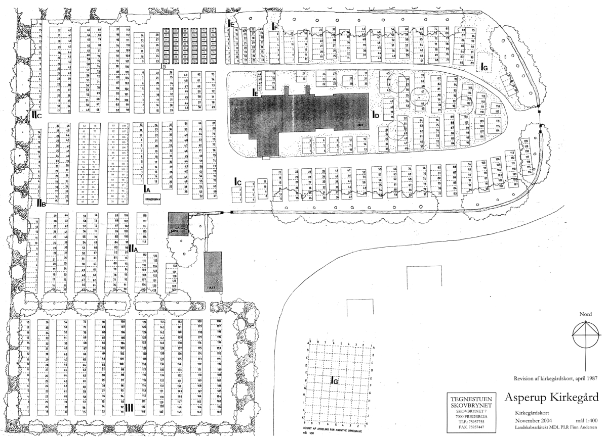
Kort over Asperup kirkegård